By Mike Davenport, EAA 89102
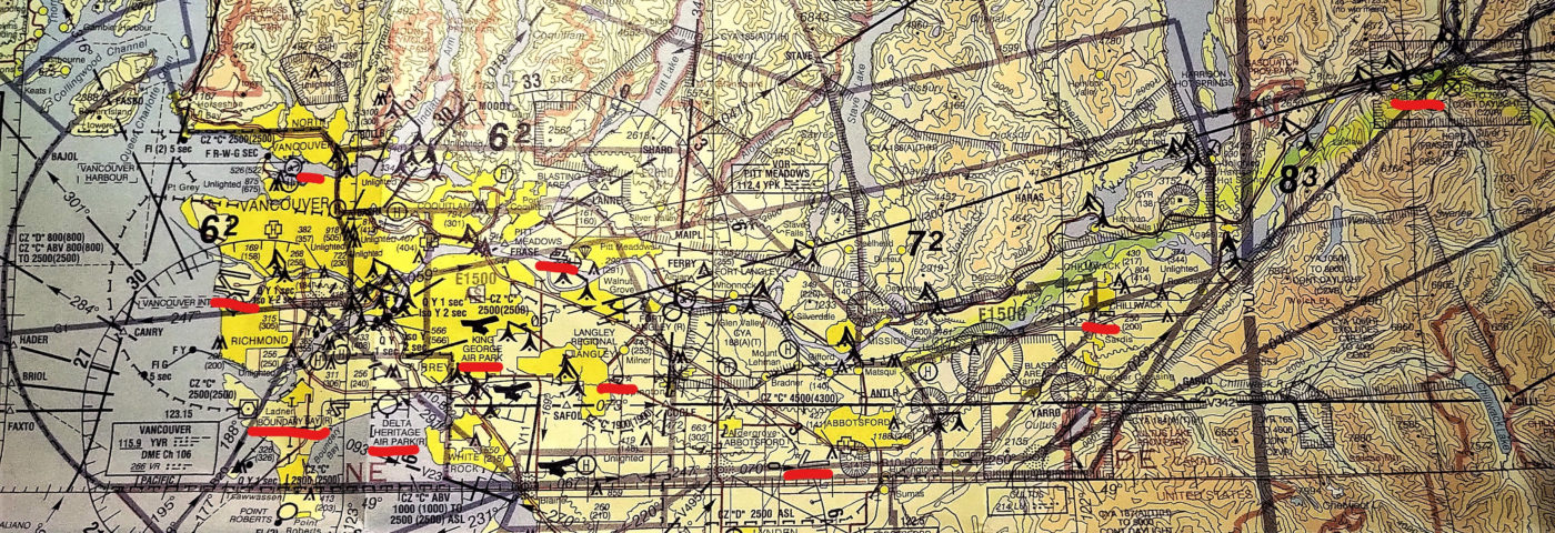
Flying in the lower mainland of British Columbia can be a wonderful experience with the views of the scenic snow-covered coastal mountains just to the north and the Strait of Georgia to the west. It also can be challenging for a visiting private pilot. The area is relatively small, hemmed in by 5,000-foot mountains to the north and by the U.S. border to the south; a triangle 65 miles deep and just 20 miles wide at the base. In that triangle are a number of airports ranging all the way from a busy international airport to a number of private grass strips.
On the west edge is the busy Vancouver International (YVR) with more than 800 movements every day. Located just to the south of YVR is the Boundary Bay Airport, itself a busy training field with constant student movements. Just 2 miles east of Boundary is Delta Heritage Air Park, a small grass strip that is home to a Recreational Aircraft Association chapter. Just north of YVR is the Vancouver Harbour, also busy with numerous scheduled float operations. East of there is the Pitt Meadows Airport with just 2 miles separating its control zone from that of Langley. Pitt and Langley both have a high volume of students in addition to many resident private aircraft. To the east of Langley is Abbotsford International with a growing number of scheduled airline flights and yet even more students and private aircraft. Are you detecting a theme here? British Columbia has become a significant center for flight instruction with students from around the world. If you extend out a bit further east up the valley, it gets a little quieter where you will find Chilliwack and finally, at the apex of the valley is Hope Airport, a well-known venue for gliders.

Considering all of the airliners above you, towns and cities below, and student pilots in between, it can be a very busy place to fly. Keeping a sharp lookout is always the order of the day as is listening on the frequency of the nearest airport or practice area. With so many students in the air it is important to give them some space. After all, they are learning just as you did once and — with any kind of luck — still are.
On a beautiful sunny day it seems incongruous to have a GPS turned on. After all, how can one get lost in such a small area? Well, with overlapping control zones, it is very important to know exactly where one is at any time. I know this from experience, having had the phone call wanting to know why I had “busted” a zone without talking to anyone. I think my right wingtip may have been over the line.

Even with all of this congestion, there are still lots of places to go and play. We can dip our toes into mountain flying with short trips up three local lakes; Harrison, Stave, and Pitt lakes all are within a few minutes flying time, and any would make a great trip as an intro flight if you have a guest or wannabe pilot along for the ride. The north shore route to Howe Sound, and the Sunshine Coast is bordered by mountains with views of Stanley Park and metro Vancouver.
For the more adventuresome, they can extend out to Vancouver Island and find even more to see and do. Just remember the flight plan and the life jackets for the over-water portion.